\
好吧!回来两周了,终于可以静下心来写这次的游记了,不为别的,只为怀念这次的美好。 我第一次蜜月AYADA的游记链接:http://www.mafengwo.cn/i/912594.html 一.选岛: 对于麻袋的选岛,很多人觉得很难,但就我个人来说,觉得倒还好,个人总结了一下,如果你是第一次去马尔代夫,找个符合你预算,性价比高的,去一下就好了,因为第一次去麻袋,纯粹只是为了满足一下你去麻袋的心愿,当你如果有机会第二次,或者第三次去麻袋的时候,你就能比较明确的知道自己的需求,是需要浮潜,是需要餐饮,还是需要奢华,这样,你的选岛就真的不会太难了。 这次的出行,首先要感谢海岸线假期,尤其是我的客服海岸线APPLE,感谢她从头到尾的认真,努力,让我这次的出行顺利。另外也要感谢非凡之旅的老余和七七,在我出行的过程中也给予了我许多的帮助,虽然这次没能合作,但是我相信今后一定会有机会的。 最后说说这个岛,Maafushivaru马富士瓦(法?)鲁,岛不大,徒步转一圈,也就是五分钟的事情,之所以最后选定了这个岛,主要一下几个方面,1是这次带着2岁多的孩子,和我父母一起出行,我的首要考虑是方便,老人小孩都要方便,所以首先在餐饮方面,我需要一个AI,也就是一价全包的岛屿,2是我不希望太大的岛,出入,到某些地方需要走很长世间,这个岛也符合,3因为带着小孩,所以我们不会安排很多其他活动,所以我单纯的希望一个浮潜好的岛屿,4是不希望太多中国人的岛,当然,只是相对不要那么多就好。结合了以上几个岛屿,在重点对比了中央格兰德以及鲁滨逊之后,最后定下了这个岛。 二.出行: 出行的话,只是供大家参考而已,毕竟,这次出行,由于有孩子,所以东西相对带的比较多,然后我必须出行方便,所以我选择的是分段,且不做联程的出行。 1.首先,福州-新加坡往返选择的是厦门航空,福州长乐国际机场(早上10点10分)-新加坡樟宜机场(下午14点45),然后我入境新加坡,入住樟宜机场T3航站楼的樟宜机场假日皇冠酒店,同样,回程的航班,马累时间(中午12点50分)-新加坡樟宜机场(晚上20点40分),同样入境新加坡,入住樟宜机场假日皇冠酒店; 2.新加坡-马累往返,选择的是新加坡航空。 三.岛上相关: 1.浮潜A级岛,名不虚传,稍后有照片; 2.一价全包,其中包括一日三餐,下午茶,以及早上九点开门的水吧,其中,菜单上所有黑体字打印的酒水饮料均包括在AI之中,菜单中红色字体的酒水饮料,需要额外付费; 3.岛上水屋没有泳池,沙屋也没有泳池,唯一有两套大的双卧泳池别墅,两套相对独立的沙屋,共用一个院子,院子中有泳池; 4.岛上活动主要有以下几个:出海浮潜看海龟(我们错过了!大哭!)出海看鲸鲨,日落海钓,升级AI会赠送日落巡航,姐妹岛浮潜; 5.重点说说姐妹岛,姐妹岛水下浮潜环境一流,额外付费可以包岛一个晚上,并有专门的人帮你做晚餐,然后可以两个人在岛上睡一晚,第二天回主岛,每天前往姐妹岛的船有三班,你可以跟船过去,自由选择回来的时间; 6.岛上所有活动,必须提前去前台边上的电子屏预定,有中文; 7.岛上有中文工作人员,叫AIKO,叫她小哎就好,很NICE的湖南妹子。 四.出行准备: 1.服装类:泳装短裤短袖,这些常规类的; 2.各类药品,防晒,浮潜用具; 3.照相机; 4.当然,你要是不带护照,不带VISA或者MASTER的信用卡,不带一些美金,不带酒店入住确认单,那我也是服你。 五。好了知道你们烦躁了,知道你们主要想看照片。。那我们就来吧。。。 事先申明:1.带老人带小孩,我真没什么时间可以自己一个人背着相机到处跑着去拍照; 2.岛很小很小,说实话也没多少不同的景色去拍照; 3.实在很不好意思,光线好的时候,都是清晨黄昏,那时候真没什么空去拍照。。。所以照片质量有限,各位见谅。
嗯,基本就是这样了,如果有一些补充,看看回头会补充上来,如果有问题,可以私信我。如果觉得照片不过瘾,可以去看我当时AYADA的游记,链接在本文上方,谢谢大家。

我自己带的设备,尼康D750,镜头1:24-70/2.8,镜头2:70-200/2.8 NISI滤镜支架,NISI滤镜5片,奥林巴斯TG4水下相机,三脚架。
马尔代夫马弗谢瓦鲁酒店
水飞休息室,和库拉马蒂共用一个,里面的饮料和小食免费。
马尔代夫马弗谢瓦鲁酒店
马尔代夫马弗谢瓦鲁酒店
马尔代夫马弗谢瓦鲁酒店
马尔代夫马弗谢瓦鲁酒店
马尔代夫马弗谢瓦鲁酒店
马尔代夫马弗谢瓦鲁酒店
马尔代夫马弗谢瓦鲁酒店
马尔代夫马弗谢瓦鲁酒店
马尔代夫马弗谢瓦鲁酒店
马尔代夫马弗谢瓦鲁酒店
马尔代夫马弗谢瓦鲁酒店
马尔代夫马弗谢瓦鲁酒店
马尔代夫马弗谢瓦鲁酒店
马尔代夫马弗谢瓦鲁酒店
马尔代夫马弗谢瓦鲁酒店
马尔代夫马弗谢瓦鲁酒店
马尔代夫马弗谢瓦鲁酒店
马尔代夫马弗谢瓦鲁酒店
马尔代夫马弗谢瓦鲁酒店
马尔代夫马弗谢瓦鲁酒店
上面的这些照片,都是单反拍摄,其中有几张添加了滤镜,ND1000,CPL等等。
马尔代夫马弗谢瓦鲁酒店
马尔代夫马弗谢瓦鲁酒店
马尔代夫马弗谢瓦鲁酒店
马尔代夫马弗谢瓦鲁酒店
马尔代夫马弗谢瓦鲁酒店
几张人像,凑合看呗。
马尔代夫马弗谢瓦鲁酒店
马尔代夫马弗谢瓦鲁酒店
马尔代夫马弗谢瓦鲁酒店
马尔代夫马弗谢瓦鲁酒店
马尔代夫马弗谢瓦鲁酒店
马尔代夫马弗谢瓦鲁酒店
马尔代夫马弗谢瓦鲁酒店
马尔代夫马弗谢瓦鲁酒店
马尔代夫马弗谢瓦鲁酒店
马尔代夫马弗谢瓦鲁酒店
马尔代夫马弗谢瓦鲁酒店
马尔代夫马弗谢瓦鲁酒店
马尔代夫马弗谢瓦鲁酒店
马尔代夫马弗谢瓦鲁酒店
马尔代夫马弗谢瓦鲁酒店
马尔代夫马弗谢瓦鲁酒店
马尔代夫马弗谢瓦鲁酒店
马尔代夫马弗谢瓦鲁酒店
马尔代夫马弗谢瓦鲁酒店
马尔代夫马弗谢瓦鲁酒店
马尔代夫马弗谢瓦鲁酒店
马尔代夫马弗谢瓦鲁酒店
马尔代夫马弗谢瓦鲁酒店
马尔代夫马弗谢瓦鲁酒店
马尔代夫马弗谢瓦鲁酒店
马尔代夫马弗谢瓦鲁酒店
马尔代夫马弗谢瓦鲁酒店
马尔代夫马弗谢瓦鲁酒店
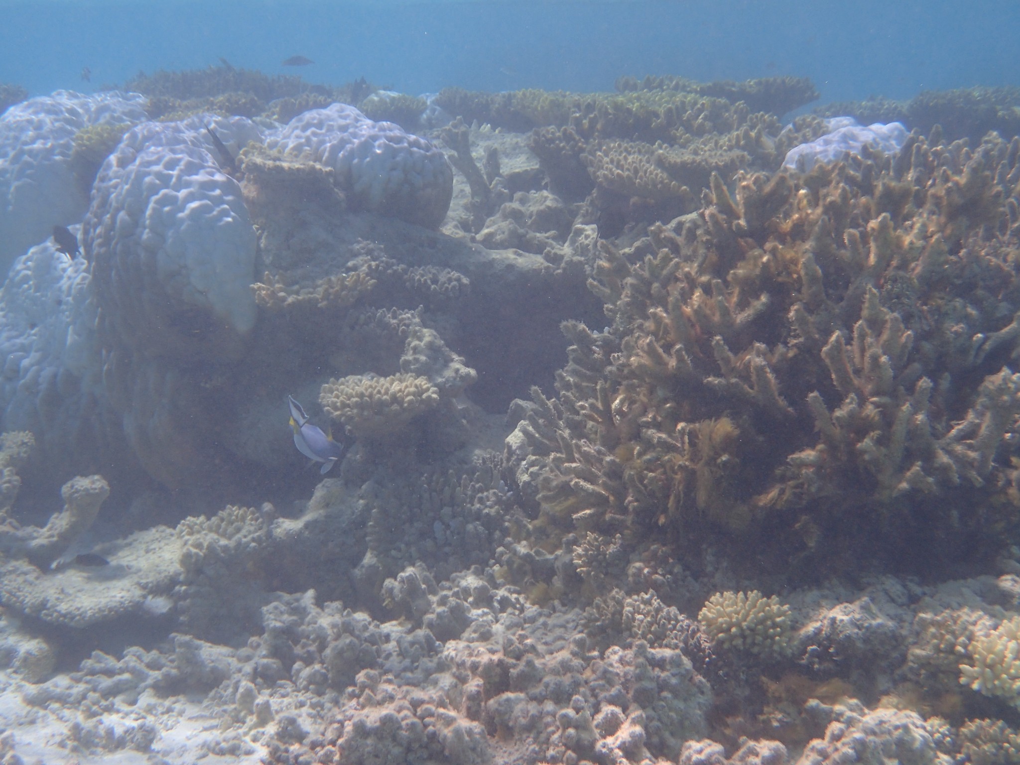
能评到浮潜A级,果然不凡。而且圆了老婆的尼莫梦。
马尔代夫马弗谢瓦鲁酒店
马尔代夫马弗谢瓦鲁酒店
回程的水飞上看见的双彩虹,感谢你临别时的赠予!第三次,WHY NOT?


补上两张星空的照片吧,最后一天晚上想起来了还没好好拍过星空,无奈天气欠佳,草草两张收工~