终于订好要去马尔代夫了,真不容易啊!!!
同样也犹豫、纠结了很久,罢了、罢了!就这2个岛吧,不换了,代理也受了不少“摧残”,同情+表扬!我算快的了,从决定去,到最终定岛前后一共只花了一周的时间。有的花了半年到一年啊!疯了!
切忌:不要挑花眼!
选岛:
虽说有些同学已经说了一些关于选岛的条件和技巧了(具体的可以看这位佳佳同学的帖子,很是不错滴!http://bbs.55bbs.com/thread-4007970-1-20.html),但我还是提醒打算要去的同学,选岛的确是个“痛苦”的过程,如何减小这种痛苦呢?那就要学会“放弃”!!!必须滴!!!有钱、有时间的人另说。
条件:
预算、航空公司、岛上停留时间、水飞、快艇、水屋、沙屋、屋内泳池、浮潜条件、潜水环境、餐食(BB、HB、FB、AI)、岛上活动等,以上条件必须有所取舍,不可能面面俱到!另外,还有女孩子算好自己的日子,别到了后,才想起来,那就晚了。
航空公司及岛上停留时间:
说起航空公司基本就是直飞、转机,国内直飞有北京、上海、广州、昆明,均直达马累;转机在新加坡、吉隆坡、香港、科伦坡、迪拜等地。航空公司所配的航班和你在岛上停留时间有很大关系,例如:你想选4晚6的只有国航,5晚7的只有上航。。。。。。(往返不是同一航空公司的机票价格很贵,就不划算了),所以事先要想好。还有,如果是马尔代夫当地时间晚上到的话,只有快艇可以上岛(快艇岛,离马累机场比较近的岛),如果上岛了要算你一晚住宿的,是否值自己衡量了。否则就在机场或马累市内住一晚,第2天一早再上岛;如果是白天一早就到马累机场,水飞和快艇都能上岛,那时刚好是中午。通常来讲,国内直飞航班都是在马累当地时间的晚上到(好像只有阿联酋航空是早晨到的)。所以,一般旅行社给你报价:4晚6、5晚7、6晚8、7晚9等等都是包含一天在机场岛上或马累首都的,实际在你要去住的那个岛还要减一天。这点一定和旅行社或代理确认清楚了!我自己通过网上订的阿联酋航空(Emirates),迪拜转机,顺便去了迪拜市内逛逛,晚上回到迪拜机场,坐飞机,到了马累是早上8:30,正好上岛,中间不耽误。就是转机辛苦一些,所以建议不带孩子。但是我个人强烈推荐阿航(阿航要给俺好处费了,呵呵!),有关阿航、迪拜事宜后文再说。
选岛:
刚才前文已经说了:水飞、快艇、水屋、沙屋、屋内泳池、浮潜条件、潜水环境。水飞和快艇需要二选一(离机场近的岛快艇,远的岛水飞),水屋、沙屋、屋内泳池需要自己去判断了,也可以混住,但有屋内泳池的房间其价格也“很好”啊!就浮潜条件和潜水环境来说,如果住宿很棒的话,浮潜可能就一般了,而住宿一般,浮潜是不错的。潜水(不是浮潜)一般需要出岛,需要有潜水教练的陪同。
另外,不得不提一句,国人喜欢选择大而全的岛(什么都要有、什么都要好、服务不收费、没有小费、总价还要便宜),那么我可以明确的告诉你:不可能、绝对不可能!马尔代夫岛屿是实行一岛一酒店的管理模式(也有一个管理集团拥有多个岛的情况),每个岛都是既精致而又有特色的,经过设计师的精心设计,结合周围的环境突出了自己的特点和鲜明的主题,从设计、施工到开业通常需要2年的时间。这也许是东西方文化差异或是理念不同的一种表现。去那里就是享受、度假、放松的。在马尔代夫没有最好,只有更好。个人认为,性价比只是相对而言的,并不是绝对的。
小费:
本来不想说这个话题的,但还是要提几句。那里的消费除了食宿和自费项目外,还要给你的服务员(通常称之为:小黑)小费,每次1-2美元(也有多给的,视自己的情况而定,也有的岛是“管家式服务”的,最后一起给,可以多给一些50-100之间吧)。有些国人去了就是认为:老子花钱了,就该这样、那样的,给个小费还挺不愿意、甚至不给,唉。。。何必呢?另外,不得不说个事情:一个朋友和我说他去马尔代夫玩儿时候,接待他的小黑说:有的中国人给小费只给了¥1块钱人民币!!!还拿出来给他看了,我这个朋友当时就无语了……真丢人啊!!!的确,谁的钱也不是大风刮来的,家里有彩色复印机的是另说了,还有那些公款旅游的也另当别论。试想一下:你给服务员小费,表示对他服务的肯定,反过来他对会为你更好的服务,相辅相成,至少我感觉那里的民风还是比较朴实的,比国内的强太多了。既然出门了,到了异国,就要遵守人家的规矩。
餐食:
BB(早餐)、HB(早餐+午餐/早餐+晚餐,二选一)、FB(早中晚三餐)、AI(早中晚三餐+水和饮料),当然价格也不一样,均含在房费里了。
岛上活动:
不同的岛不一样,无外乎海钓、看海豚、看鲸鲨、潜水、深潜等,有的包含了一项,有的全自费。
好了,废话说了一大堆,该转入正题了,首先我不会选那些卡尼、双鱼、天堂、满月之类的“团岛”。
否则:
一下水游泳就踹到人,还得说声中文的“对不起”;
要拍个单人像搞不好就成“集体像”了;
餐厅吃饭还要抢,去晚了还没有;
走到哪都是唧唧喳喳的一群人,无所顾忌、大声喧哗的;
我何必呢?!与其这样我干嘛不去北戴河啊,还便宜呢!我并没有说上述的岛不好,岛本身很漂亮,而真正的原因大家也明白,我就不多说了。
我亲眼看到一个中国人,在餐厅吃晚饭后,一边剔牙一边吐!还不停的打嗝!巨响!!!
一早3:00起床,拿起行李直奔首都机场T3,人真少(废话!谁跟我这样啊,跟疯子似的),4:10就到了机场,5:30办完行李托运(直接一站托运到马累,中间迪拜转机不用取行李的!)
飞机于北京时间6:55准时起飞,后来据说第二天北京就下雪了,幸亏是我走的第二天下的雪,否则,飞机就延误了。
中间中转迪拜事宜后文再说,先说岛上的情况。
前文已经说明了我的想法了,要去就找个人少的、新岛去,不会有上面那些问题,或者出现的概率很小。代理给我推荐了Moofushi岛(布雷西斯--慕夫岛)感觉也不错,听说是个新岛,正好搞活动,住4付3(相当于75折吧)。
这是飞机快降落时抓拍的。
马累机场连国内的二级城市机场的标准都比不了啊!
前文已经说明了我想法,要去就找个人少的、新岛去,不会有上面那些问题,或者出现的概率很小。代理给我推荐了Moofushi岛(布雷西斯--慕夫岛)感觉也不错,据说是个新岛,正好搞活动,住4付3(相当于75折吧)。
到了机场有服务员接,专车直接送到Moofushi的休息厅(其实就是围着机场绕一大圈,绕道机场的后面,离海边很近的水飞机码头),趁着闲暇无事,吃些早餐(休息厅内提供早餐和饮料),拍些照片。
这是隔壁的酒店水飞机休息室,大家猜猜是哪个岛的?
该上飞机了,来张照片。
再看看飞机里面啥样?
对了,上水飞机前都要进行行李称重的,随身携带的小包不需要,但是有童鞋携带的大的摄影包就需要了,上飞机的时候,是不可以随身抱在怀里的,也要放到飞机的后部,但是你和他说明,这个贵重物品,他们会小心的
这是驾驶舱,和穿“人字拖”的驾驶员。

飞机起飞,中间路过几个小岛,随拍了几张。
注意:水飞里很吵的,上机前会发给你耳塞,这样会好很多了。另外,起飞和降落的时候会有很浓的柴油味道。
中间临时降落,放下了一部分客人去W岛,又飞往Moofushi了。
辗转飞机3次,终于看见了Moofushi岛了。
住这个岛同学,请注意,按照这个图的显示:右边是西,左边是东,西侧是水屋浮潜还可以,需要游到海里大概50米左右,就可以看见成片的珊瑚了,而西侧靠南的水屋,基本没有什么珊瑚。而且西侧是水屋可以看到落日,很漂亮!
Moofushi的前台接待
该看看屋内的设置了,先看沙屋吧
看完屋内后,我们看看屋外。
离海边较近的沙屋的私密性不是很强,因为总有人从前面走,岛上的植被覆盖也是一般。
晚上了,看看房间的布置吧
沙屋的照片发完了,该室外了。
首先看看屋外泳池,游累了,可以晒太阳。
这是酒吧,在Moofushi岛,酒吧消费也是Free,包括烟,但不能拿走、不能浪费!
酒吧白天基本没人,晚上会多一些,下午也可以休息,一边在喝着小酒儿、一边看海,那是什么感觉。。。
该去水屋看看了
看看水屋内景吧。和沙屋的区别不是很大。
再看看水屋外。
晒太阳,坐在藤椅上聊天、看海!多惬意啊!
看完水上,该看水下了,看看浮潜的情况如何。先说一下M岛的海上活动,我参加了一个200抚摸鲸鲨的活动,一早就要出海(moofushi岛时间早晨7点,我一直以为是马累时间早晨7点呢,原来这里和马累还有1个小时的时差,结果晚了,很是丢人!但是没想到,同船的所有人都迟到了,嘿嘿。。。原来都是没调表)。
这是坐快艇(允许最多6-8人)出海抚摸鲸鲨,前一天说好的,肯定可以摸到,我就报名了。结果这天一早,出海后1小时(中间还路过了coco岛),小黑站在船顶,看到了鲸鲨,这时听到潜水教练大喊“JUMPING。。。!!!”,就看大家人人奋勇、各个争先的往海里跳!!!只看见一团黑影,就什么都没了,靠!骗人!等我再露头,好嘛。。。周围有算上我们一共3条船(还有其他岛的船),都围在附近找呢。。。别说摸了,连看到都难啊!!!只拍到了一张图片,就是这张了。。。郁闷。。。
不能白来啊,只能继续参加他们的出海浮潜,好像是47/人。就拍到一条鲨鱼,还不是很大,目测也就2米左右吧。
以下还有一些在岛上的浮潜和水下图片。
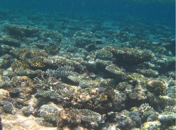
有的同学认为,M岛的浮潜还是不错的,我不这么认为。首先,珊瑚离岸边较远,大概有50-80米左右,珊瑚之间几乎没有水道,使得客人不能游到海沟附近,因为那里的鱼是最多的!其次,在珊瑚和岸边之间的海里几乎都是白化的珊瑚(或是死珊瑚),同时水又很浅,如果从岸边游到珊瑚那里,你的膝盖肯定会划到海底,如果从岸边走过去你是穿脚蹼还是不穿呢?!穿吧,没法走;不穿吧,扎脚啊!以上是南侧沙滩的浮潜情况;而北边的比南面的稍好(距离会短一些),但我也没有看到大的鱼群。
总体来说Moofushi岛还是不错的:
沙子确实不是很细,岛不大,并不是新岛,感觉像是重新装修过的,尤其是靠近东侧的水屋是新建的。沙屋的私密性不是很好,也许植被覆盖不好造成的。水屋有灰蛾子,很多!蚊子到没发现。岛上的所有服务人员态度很好,耐心解答问题。
水岸餐厅也很不错,可以去尝试一下。
就是浮潜差一些,尤其是那些白化的珊瑚,没有开凿的水道,因此很难游到海沟附近。
以一艘小船结束Moofushi岛的介绍吧。
很快4晚就过去了,在离岛的前一天晚上,服务员会把一封信送到你房间,告诉你退房的时间。
凡是要去第二个岛的需回到马累机场,以马累机场作为中转。
首先,回到马累机场,找到迎接我们去R岛的接待服务人员;
其次,帮助办理登机手续,行李托运等服务;
第三,又和他聊了一会儿,当得知我是从M岛来的时候,他说我一定会喜欢R的!
第四,坐上内陆飞机,飞往马尔代夫南部的Kaadedhdhoo机场;
这个机场的游客除了去R岛外,还有去Alila岛的。这两个岛算是马尔代夫比较靠南的了,但是最远的是香格里拉岛(已经在赤道以南了),游客并不在这个机场降落,要到更南GAN机场。
中间路过一个不知道名字的岛,有童鞋知道吗?告诉俺一声,俺也学习一下啊。
其实,内陆飞机就是比水飞飞的高一些,装的人多一些,其他没什么了,对了,还有噪音小很多了!
乘飞机1小时左右,然后转快艇20多分钟,到达!
这就是R岛的码头了,每当有客人上岛的时候,中间的桌子就会放好了香槟,并在客人登岛的第一时间,开启香槟,很是热烈啊!
R岛的房间有3种,沙屋、花园屋、水屋。这是沙屋房间内的图片。
看看卧室照片。
为了保护植物,竟然将椰子树放在了露天浴室里!值得称赞
看完屋内,看看屋外吧。私密性还是不错的,露台离海边大概有10几米左右吧。沙屋就位于树丛里。
这是泳池和看海双人躺椅,游累了,歇会儿。
这是沙滩日落酒吧,几乎每晚都有节目,很是热闹!
在岛的南侧是另一个码头,主要负责货运和潜水。
这是潜水中心
目前R岛上有个中国的小姑娘在工作,她是广东佛山人,是岛上唯一会说汉语的工作人员,岛上的情况都有简单的中文介绍;
每个房间都配有转换插头一个;
我参加的是体验潜水125左右/1小时(先要讲课,再下水,水下45分钟左右),我的教练叫:Stephen,是个德国人(大胖子),人很好!他带我潜了2次
浮潜在沙屋或码头附近非常好,而且有鱼群,有水道可以游到海沟,免费的;
岛上有2个餐厅,会有不定期的活动;
后面还会有另一个套房的照片,也很不错
好了,看完沙屋、岛上设施、码头等图片该看看水屋的图片了。
下面就开始更新水屋的图片啊,想去的童鞋要仔细看了。。。
我先说明一下,这间水屋比较的特别,是R岛上唯一一间带泳池的,而其它水屋没有。
R岛上就2个泳池,公共泳池和这间屋子的泳池。
凡是入住这件套房的客人均可享受到烛光晚餐、香槟早餐和午餐。均在露台享用的。还有45分钟的SPA。
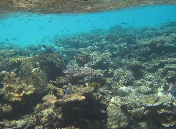
屋子介绍完了,该看看浮潜的情况了,Robinson的浮潜应该算是不错的了,比那个Moofushi岛要强太多了!
首先,在沙屋海滩附近都是珊瑚,珊瑚中间有2条水道,可以游到海沟附近,景色很是漂亮!
其次,水屋附近也有珊瑚,但是鱼并不是很多。而且浮潜的人很少!但我在这间水屋看到了海豚。
以下是在Robinson岛的沙屋海滩附近所拍的水下照片,于确实不少,鱼群很常见,鹦鹉鱼很很多,还有一些大鱼。
这次比较的幸运看到了海龟、拿破仑大鱼。
以上是浮潜时用D10拍摄的,效果一般,下面是在潜水时拍摄的,也是用的D10。不过水下明显暗了很多。
最后,看看本次在R岛浮潜时看到的一些新鲜的东东。海龟和拿破仑鱼。
当时看到拿破仑鱼的第一眼,我差点把呼吸管从嘴里吐出来,真TM大啊!!!目测至少在1.5米,游的不快,离我也就3-4米左右的样子,吓了我一大跳!!!
而发现海龟时已经游远了,我进行了抓拍,但有些不清楚了,有些遗憾了!
发一张在R岛码头的小图,结束R岛的介绍。
最后是我这次旅行双岛的比较了(Moofushi、Robinson)

迪拜过境旅游攻略:
其实,去迪拜主要是因为这次去马尔代夫顺便的事情,原因是其他航空公司的航班时间都不合适,基本都是晚上到马累机场,直接上岛吧,要算一晚的住宿不说,当晚还看不到什么景色,感觉吃亏。马累机场熬一晚吧,也没什么意思,人多到是可以打牌消磨一下时间。去马累市内住一晚吧,又挺贵的,也不值(据有人说像农家乐,可能有些夸张,应该是老三星的标准吧),第二天还要早起回到机场岛,忒折腾了!关键是往返就6、7天,时间太少了!
偶尔发现阿联酋航空(http://www.emirates.com/cn/chinese/)的特价机票不错,北京(上海、广州)- 迪拜 - 马累都有,我提前40天定的,价格还可以吧!前提是一定要用自己的信用卡,开通VISA支付功能,预定成功后,会给你发邮件,机票下载后,自行打印,登机时需要出示机票、护照和你订票时的这张信用卡。记住:必须是本人的信用卡!
这就是我的机票:¥9.672/2人/往返/含税
订票后,机票打印出来去办理进出迪拜(阿联酋)的签证(只有预定阿联酋航空公司的机票才可以办理,如果不是阿航的机票,办理签证有其他方式),办理签证时具体所需资料、价格、时间等可以参考这个网站:http://www.dubaivisa.net/china/chinese/contact.aspx 由于是电子签证,会给你发邮件的,下载并打印2份,进入阿联酋境内(在迪拜出机场时)使用。
由于去程转机是15个小时,应该有时间进如市内逛逛,飞机当地时间中午12点落地,入境后进入市内吃饭,看看那个所谓著名的酒店啥德行,然后去哈利法塔(也叫迪拜塔,我是提前在网上订的票,给你发邮件后,也是自行打印,到时就不用排队了(实际上我们也排了2个小时的队,人太多了,连2天内票都卖完了),可以参考:http://www.burjkhalifa.ae/),再去2个Mall(Dubai Mall: http://www.thedubaimall.com/en , Emirates Mall: http://www.malloftheemirates.com/moe/Default.aspx)转转看,大家可以根据自己想要买的东西预先在国内看好了,然后通过上面2个网站的商铺索引,直接到现场去看价格,合适就买,不合适就走,省去了逛的时间,因为里面实在是太大了(据说有80个足球场的面积),没体力啊!最后看看黄金街(基本是18K、22K的,但是样式很棒,价格比国内还贵,放弃了)。我去的时候正好是迪拜每年的购物季(1.20 – 2.20),折扣不小。
逛累了,就吃饭(唉,阿联酋吃的第二顿了),如果不吃回机场吃也行,毕竟持有阿联酋航空公司机票,中间转机超过5小时的有一顿免费餐(持登机牌和机票换取,据说味道还可以接受,但我没找到,就自己买了吃了)。进入机场免税店,继续逛,看好商品先不要买,记下店铺位置,在回程的时候再买,省得携带了,毕竟回程要在迪拜机场停留8个多小时,所以就不再去市内了,考虑到这点,因此签证我申请的是96小时的,不出机场不需要签证。
有2点需要提醒:
1)入境检查时需要扫“虹膜(eye print/scan)”,如果带隐形眼镜的需要拿掉,好像只针对中国人、印度人,原因是什么,我就不多说了,挺悲哀的!有兴趣的朋友自己可以去看看
其他网站论坛有关迪拜的帖子;
2)去程转机时间是15小时,而飞机到达是当地中午12点左右,正是迪拜机场最繁忙的时候,因此要抓紧时间办理入境手续,不要在机场逛,尽量将时间留在市内。回程时转机时间8
个多小时,由于不打算再次入境了(去了市内看什么!?只能看照明了。),同时飞机到达时间是当地凌晨3点左右,候机楼人很少啊!逛的多爽!同时,买你去程时看好的
东西,可以再逛逛(迪拜机场免税店是24小时营业的);
在迪拜转机也好,不在那转机也好,其实上岛的时间是差不多的!只不过,不去迪拜转机的,时间耽误在马累一晚了(很少有人连夜上岛的,原因前文已经说过了);而去迪拜转机的,时间耗在迪拜和飞机上了(省了住宿费用),一早到马累,当天上午就可以上岛了;缺点就是:可能会比较累,所以不建议带孩子走这条线路。
出关后,打车去市内80ADE左右,就说去Dubai Mall,司机都认识。Dubai Mall 就在迪拜塔的下面,吃饭就在Mall里解决了,另一Mall没去,时间不够。
另外,你订好的参观迪拜塔的票后,先去换票,问清楚排队等候的时间,就可以去随便逛了。
Dubai Mall里都是电子指路牌,很容易找到你想买的东西所在的店铺。
如果打算在迪拜过一夜的话,你就需要提前预订中转时间更长的机票(迪拜 - 马累)了。也就是说中间转机时间不是我的15小时了,而是至少24小时,甚至更多了。但是,你的回程也是要这么长的时间吗(除非你还要再次进迪拜市内)?通常来说,去程中转时间与回程中转时间是差不太多的。自己要留意,阿航网站有选择的。
好了!俺的帖子已经发完了,由于时间仓促,很多照片拍的不是很好,请大家见谅,以后会不断更换图片的!
另外,再说说这次马尔代夫的感受吧。
其实,我也是第一次去马尔代夫,很多童鞋和我一样,去之前没有概念。马尔代夫有1190个岛,被开发成旅游或度假的岛有80多个,对中国开放的不是全部,但是自从金融危机以来,也加强了对中国市场的开拓,那里实行的是“一岛一酒店”的管理模式。
在这里,我必须说明一下:国内很多旅行社或代理是有很大问题的!!!
他们经常玩儿把戏就是:
1)你要去什么岛,我都可以给你报价,而且是低价哦!(用低价一开始就在引诱你)
2)把你吸引过来后,他就会说,你要交预付金了,否则我没法给你订房或机票啊?!(说辞、谎言,你还没查房呢,怎么就说订房?!)
3)你交了预付金后,过些日子,他说:由于你去的那个岛人太多了,房间没有了,只能换岛了!同时又说:其实马尔代夫很多岛都一样的,没什么区别的,景色都一样之类的话。
(废话!如果岛都一样,怎么价格不一样啊!?开始耍无赖了!)
4)这时,毕竟你已经付了预付款了啊,退钱换代理,时间来不及了,不明真相的人就只好“依从”了。(那些LM代理就开始给你换一些不知名的小岛)
5)等这些人去过回来之后,自己认为,麻袋不错。其实,你真的感受到那里的服务、环境、海水、阳光、沙滩、空气。。。。。。了吗?
(那些黑代理的目的终于到达了,他们收取了“一般”的费用,却给了你“更低”级别的岛,要知道有80多个岛呢,怎么都能给你对付几天吧。)
以上情况还算是好的了!!!至少你没有赶上,人已经到了马累机场了,才告知你所要去的岛,没有房间了,你当时是什么心情呢?什么想法?(是不是想找把斧子啊?)
所以,在这里,我劝大家一定要擦亮眼睛,不要找一些不知名的代理或旅行社(其实很多大牌子旅行社也是不负责任的,这里我就不点名了,他们也是经常转了3、4手才卖给客户的,先不说价格,就是中间环节那么多,有一个出事,就完蛋!),一定要找一级代理,至少也是个二级代理,这样,你的利益才能有保证!自己只要多问,多看,就可以了!
另外,我在这里正式的告知各位:马尔代夫政府是允许酒店超卖的,在10%,尤其在旺季!
有时候一级代理也无奈,但几率很小,还有大品牌的酒店,要考虑客人情绪,会很少出现超卖的现象。
很多童鞋关心跳岛和内陆飞机的问题,在这里我就一起说了吧。
首先,如果你要去2个以上的岛,那么在你上第一个岛的时候,要和前台说明“我要在N天后去另一个岛,而且告诉他们岛的名字”,他们就会为你安排了;
其次,在第一个岛所住的最后一晚的上午或中午,再次和前台说明一下,他们会再次帮你确认退房的时间,以及行程的安排的;
第三,当晚你会收到一封信,告诉你次日退房的时间,和交通工具(水飞或快艇)的离岛时间,千万不要迟到,这是大忌!
第四,当你回到马累机场岛的时候,接待你去第一个岛的服务人员,会再次接待你,你最好让他帮助你找到你要去的第二个岛的服务人员(这时不要吝惜你的小费啊,真的非常管用的!),他会帮你找那个人的;
第五,第二个岛的服务人员接到你后,就没问题了;
马尔代夫的内陆飞机是这样的,航班、日期、时间基本不固定,要看客流情况,通常来讲至少需要提前一天订好内陆飞机,一般酒店会联系好内陆飞机的时间的,价钱你已经支付过了,不用操心。
以我举例:我第一个岛是水飞岛,第二个岛是内陆飞机、快艇岛。我在早晨9:00退房,坐水飞回马累机场,转乘国内航班的内陆飞机到南边的KAADEDHDHOO机场,然后再换乘快艇到Robinson岛,我计算了,一共费时4小时15分钟,正好在Moofushi吃早饭,Robinson吃午饭!非常顺利!只耽误了半天时间。
最后祝每一位去马尔代夫旅游的童鞋,都有一个愉快的假期!
切记:除了沙滩上的脚印,都要带走!
除了美丽的照片,都要留下!