纠结了快2个月的选岛在看到了蓝白色地中海式风格的中央格兰德,我跟LG都一见倾心,同时这个岛是一价全包,水飞上岛,有特色的夕阳水屋,离海沟比较近浮潜环境还不错,于是我们毅然决然选定了中央格兰德岛。
行程:10天8晚(10月14日——10月23日,一晚马累没住)3天普通沙屋+4天夕阳水屋 斯行
10天的完美假期马上开始啦!~~~
斯行果然毫无意外的晚点了,到达马累机场时已经临近5点,对于选择斯行清晨准备水飞上岛的来说,马累一晚的住宿真的可以免去。
之前看帖子有说Centara有时没有送水飞的小黑,于是6点半的时候LG带着我直接到水飞柜台Check in,之后我们直接上了巴士被拉到了水飞码头,等待着水飞上岛在此行还未开始之前,我们就在机场遇到了意外的惊喜,在飞往马代的同一航班上碰上了我和LG的大学同学,更加意外的是我们竟然去的都是同一个岛~真的是太有缘了等待水飞的时候我们的同学也在小黑的带领下坐着巴士从马累赶过来,于是我们一行4人一起上了岛~~
接我们上岛的多尼船
上岛后提供的免费欢迎饮料,芒果味的,很好喝~还有一条冰冰凉的青柠薄荷味的小毛巾~
我们一上岛就赶上了中文GO的接待,是个上海姑娘,人很热情,第一时间就为我们check in,于是我们8点多竟然就入住了,只是有2个托运的行李要12点才能送到,但能这么早入住已经让我很开心了
这是我们入住的复式沙屋小别墅
行李没到,没来得及换衣服,也要赶紧跑出去逛逛~哈哈~
第一天的午餐——reef餐厅
傍晚的夕阳格外美。。。
最爱reef的早餐,每天都很丰盛~~~
午餐——lotus thai 泰国餐厅固定的菜式全免,单点每人减40美刀,午餐不用预定,晚餐需预定。我和LG都爱吃泰国菜,基本天天中午来这里吃。
晚餐——Azzuri mare 意大利餐厅
只提供晚餐,需要提前预定,同样是固定菜式全免,单点每人减40美刀,口味的话只能说因人而异,有的人很喜欢,有的人觉得简直难以下咽,不过如果坐在露天的位子可以边看海景边用餐,环境非常好~~~
又一个清晨~有点阴。。。好在吃过早饭,太阳又出来啦~~~~
我们的夕阳水屋——
准备出海去钓鱼~~~~
LG钓上一条大鱼~可惜小黑没拉住~竟然让大鱼溜走了~~~
晚上参加寄居蟹比赛~初赛竟然得了第一可惜决赛我的小蟹不给力~没有拿到名次555555~
喂小鱼每次扔下面包都会招来成群成片的小鱼~
同学住的家庭豪水~~~
湛蓝湛蓝的海水上坐落着一栋又一栋漂亮的水屋~~~~
意外的惊喜~~~~
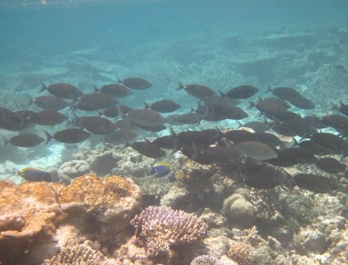
更新水下大片~~~~
看到有人在深潜。。。
我们的水屋~~~
在海沟处,LG和我非常幸运的看到了大鲨鱼。。。。一瞬间感觉所有的鱼都散开跑掉了,正当我们纳闷的时候对面迎头过来一只大鲨鱼。。。当时我立马傻掉了。。。一动不动的浮在水上,心里默念着我是好人啊不要吃我啊~可惜是我自作多情了,人家理都没理我们直接扭头走了。。。临了LG激动地感觉补拍了一张其实马代的鲨鱼都没有攻击性,但是看到的一瞬间还是会有恐惧感~庆幸不是在塞舌尔,否则真的小命不保啊~~
