浮潜用品都是可以免费租的,直到最后一天退房前归还就可以。考虑到卫生问题,我在国内给我俩买了面罩和呼吸管,还有手套和袜子,后来发现手套和袜子是多余的,因为要穿脚蹼,就不能穿袜子,浮潜小黑不让带手套。本来我还想借水母衣,但是水母衣只有深潜才可以租,浮潜是不给租的。浮潜怕晒的同学可以穿着长袖再穿救生衣下水。岛上很多人都是这样。
我俩在浅滩游了游,有时候接近珊瑚我就很害怕被划到,后来为了给我壮胆儿,我自己还是报名了浮潜课程,第一次或者水性不太好的同学可以报这个,有小黑教你如何使用呼吸管,如何使用面镜的技巧,以及穿上脚蹼如何踩水。我老公比较自信没有报名,他要自己试。后来证实我完全不用花这份钱。不过小黑带你浮潜会告诉你哪里有什么景色,而且会告诉你去海沟的出入口在哪里。海里也有出入口的,千万别瞎跑,水上都有浮标,白色球就是出入口的标志,那里没有珊瑚,是顺畅通道。别走有珊瑚的地方会被划伤的。(浮潜课程花费35刀)
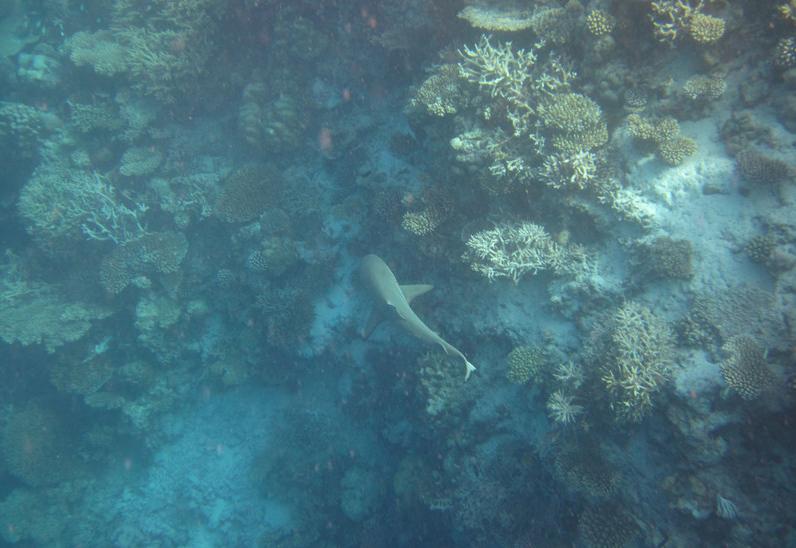
**悦榕庄的水下世界真是太美妙了。小黑带着我游了一小圈。到海沟的时候我才知道什么叫别有洞天,真是太漂亮了!那时候真觉得眼睛不够用!
不多说,直接上图**
**潜水时应该注意几点。首先无论深潜还是浮潜,提前在水上中心询问好涨退潮时间。因为如果是退潮浮潜又不穿脚蹼的话非常危险。论坛上曾有人说过自己的亲身经历,差点游不回来。因为退潮时潮水似乎有种吸力会把你死死的往深海拖,所以切记要穿脚蹼和救生衣。救生衣是最后一道生命防线!如果你不是那么确定自己的游泳技术,希望每一个下去的同学都穿救生衣。虽然穿上救生衣后你的游泳速度会受到限制,但如果因为水温导致抽筋,再好的游泳技巧也避免不了呛水。脚蹼也是非常有必要的,拥有脚蹼的游泳速度是平时的4-5倍,如果真的不幸被潮水吹向深海,脚蹼比救生衣更能让你脱险,这次在悦榕庄我们能天天浮潜好几次就多亏了有脚蹼。
另外海里的东西不管你知道不知道的,别动手摸他,后果是你想不到的。无论在海里看到什么,别惊慌。惊慌失措比海里的海洋生物更可怕。不小心呛水有可能让你短时间失去知觉,所以很危险。记住要保持镇定,你的个头跟鲨鱼差不多大。就算看到鲨鱼它也得掂量掂量是不是袭击你~~更何况珊瑚礁附近不会有大型攻击性鲨鱼。
还有,酒店要求至少2个人一起去浮潜或者深潜,这样相互也能有个照应。出发前仔细检查自己的装备,面镜提前要涂抹牙膏,然后用海水冲1次后可防止起雾。也可以去潜水中心向小黑要喷雾。全干式呼吸管要检查活塞是否灵活,救生衣的尺码是否合适,脚蹼最好选择紧一点的号,避免踩水的时候不慎脱落。
如果没有OW(OPEN WATER开放水域潜水员资格)的同学,只能参加体验潜水。第一次潜水是160美金。包含了1小时的课程和泄湖里的测试。在泄湖里需要跪在沙子上把教练之前教你的内容都做一遍。
上岸的时候已经是快下午2:00了,我俩都有些筋疲力尽,正好中午午餐的时候休息休息。**
午餐是在餐厅对面的花园中吃的,花园坐落在沙滩边一群椰子树底下,我俩很喜欢最外面一排的餐桌吃饭,因为往外看就没有餐桌了,直接是沙滩,多美呀!不用担心会晒,因为椰子树又高又大,阴凉足够用!
**每周日的主题是BBQ,中午就开始烤肉啦~我们点了两片烤鱼和两个烤鸡肉肠,
还有一片烤鸡肉。说实话,没有羊肉串好吃。**
**吃过午饭,下午和晚上的行程都是我们前一天晚上跟前台预约的。
下午2:00~6:00去马累观光, 50刀/人,一共100刀;
晚上6:30~8:30黄昏海钓,65刀/人,一共130刀;
晚上9:30自家后院蜜月送的私人BBQ。**
两点整,我们踏上了去马累的快艇上!过了半小时,也就是马累时间下午1:30,我们到达全球最小的首都——马累。码头上分发完矿泉水后,每对夫妇都被安排一个当地地陪。我们这个地陪有些腼腆不过态度很好,看到好看的景色和景点主动给我们讲解外有时候特意停下让我们拍照,告诉我们最佳的拍摄地点,而且主动要求帮我们拍合影。最后游玩完了还有一段时间的时候他还又带我们从另一条路走了一圈。
很快我们就游马累一圈了,从马累返回岛上时间是马累时间的下午4:00,这时候还早,离开船还有2个小时的时间,马累导游先领我们到了一个3层小楼,休息片刻之后我俩觉得没意思,于是导游又领我们去了中国出资建造的国际图书馆以及到他们住宅区的外围转了一圈。马累街道很窄,住宅区的街道就更窄了,而且马累本身不大绕岛一圈1个多小时就到了,但是有10万人口,所以大部分的小黑都是开摩托车的。我们问导游为什么不骑自己行车,导游很可爱的说太热~~我们也见到了一些汽车,而且有宝马这种好车,导游说所有的汽车都是二手车,车很少,几乎用不到。
悦榕庄的快艇是很准时的,4:00到达了码头,我们在岛上时间5:40回到了悦榕庄。
我们今天安排的行程比较合适,时间一点都没有耽误。这不,刚到码头,没等多久就登船准备去黄昏垂钓。
晚上6:30,我们上了船。船有两层,我们是第一个上船的,小黑还主动的给我们拍了合影,后来我们发现二层也能上去,于是爬到二层之后发现真的是一览无余呀!这个地方看夕阳真是太好的地点了!这时候太阳已经开始慢慢落下。夕阳真是太美了,什么是火烧云,什么是金色夕阳,我们都幸运的看到了!黄昏海钓,黄昏真的很漂亮,如果没钓到鱼,看到这么美的黄昏我俩觉得也值了!

**停船的时候天空已经完全黑下来了。小黑给每个人一个鱼绳,然后讲解了一下注意事项,我们就开始垂钓啦。
钓鱼的工具很传统,其实就是一个长长的鱼线,头上系个钩子,钩上肉,再往上点儿系了个很沉很沉的钢球,这就是整个工具…小黑帮我俩把鱼线放出去后,我们拽着线就等着鱼上钩了。晚上海风大,船摇晃的很厉害,都有些晕船。容易晕船晕车的同学慎选此项目。后来小黑看我趴着不舒服,就帮我钓。他刚拿了半分钟,就见他突然开始快速的收线,而且明显看出他很用劲,难道上鱼啦?可是没过多久,他就慢慢的收线了,我问他怎么回事儿,他把线收上来一看,钩都没了!小黑说一定是条大鱼。老公那边一直没什么动静…这时候已经快接近尾声了,我们同行一共8对16个人,钓上来了3条鱼,一条特大个的,一条普通的,就是鱼市看到的小鱼大小的,还有一条更小的珊瑚小鱼,而且这些都是在船头或者船尾掉的,我们在船两侧的一个也没钓上来…看样子钓鱼的位置也是很有讲究的。钓上来的鱼可以在第二天晚餐吃,但是要收加工费,我们全餐的加收10美元的加工费,有的只定了早饭的就加收20美元的加工费,其实很便宜。不过钓到珊瑚鱼的那对夫妇,觉得他们那鱼太小了,一个人的量都不够,还得交10元加工费,觉得实在不值,最后就没有要。**
我俩没钓上鱼,黄昏垂钓变成了黄昏喂鱼,我俩都比较郁闷。回岛途中在船上转悠,老公忽然看到船尾离海面特别近,打出来的浪很爽。不过没多久就被小黑制止了,他们不让游客在这后面,危险。
晚上9:00上岛,回到别墅的时候突然发现,小黑已经在我家后院把私人BBQ的餐桌布置好了。在懒人亭,厨师已开始为我们做饭。菜单是当天中午午餐的时候定的。我们定的是普通的肉烧烤,他们还有个菜单是海鲜的,不过要单收取一定的费用,我俩就没点。为了营造气氛,我俩分别点了两杯香槟,一共消费24刀。

那晚的服务员是梅西粉丝,老公正好穿着梅西的队服。服务员很热情的跟他聊起了前一天巴萨的比赛。悦榕庄别墅里是没有电视的,所以老公不知道,小黑就告诉他梅西昨天进了两个球,巴萨完胜。他很是高兴!
烤肉的量很充足,老公一人都是勉强吃完的。主菜里分别是烤7分熟的牛肉(几分熟也是在当天午餐时跟小黑定的,小黑说6,7分熟牛肉最美味),烤羊排,烤蘑菇,烤玉米和烤土豆。
酒足饭饱之后我俩第二天也就结束啦。
第三天
**今天早上跟昨天一样,看日出。
本来打算早上浮潜的,因为昨天上浮潜课的时候,小黑说清晨浮潜是最好的,时间是在早上7:00~8:00。我俩觉得早上7:00天还没亮,照相效果不好,海水又冷,所以决定8:00太阳升起一些后再去浮潜。**
早上浮潜的好处就是鱼很多,大片大片的鱼群游来游去。而且光线不是特别充足的时候不会太晒。但是也有缺点。因为太阳还没升起来,水下本来阳光折射就不亮,这样一来,光线就更不好了,所以早上浮潜的时候拍照的效果很差。而且早上温度低水温凉,浮潜的时候还会遇到暗流,比较冷。但是再冷再黑我俩也不能错过鱼多的时候!又由于今天约了中午10:30做SPA,所以我俩要先去浮潜然后吃早饭,吃饱之后正好也累了,再去按摩。
8:00这个时候太阳已经出来了,光线也不错了,在别墅穿好装备,我俩就带着防水相机去潜水。这次我俩打算绕着昨天小黑带着我游的一小圈游一遍。其实浮潜是很费时间的。两个出入口真的相距没有多远。我们从下水绕一圈再上来一共用个1个多小时。不过这次看到了许多许多昨天没有看到的鱼,而且早上浮潜果然能看到白天看不到的鱼群,如果你不游只在水里飘着,它们就会游过来,把你簇拥在中间,有的还叼你的手,很有意思。
**除了在海沟边上潜了一小圈,我还带着老公去了浮潜中心正对着的浅滩上的海龟保护基地,昨天他自己游的时候没去过。
海龟保护基地位于浮潜中心正对着的离海沟很近的浅滩上,是一个蓝色的铁架子。当时我们去的时候有两只大海鱼和一只小海龟。悦榕庄很注重海底生物以及自然环境的保护,每次有小海龟出生,只要他们发现,都会抱回来养大之后放生,而且每天下午5:30都会有喂海龟表演,告诉游客海龟的生活习性之类的。不过看这个表演跟电鳐可不一样,需要游客自己浮潜游过去。**
这是我第一次近距离的靠近海龟,海龟游得很慢,有时候下潜有时候回到水面上换口气。虽然是在一个大笼子里,不过看他们还是很自由自在的。大海龟比较怕人,我游到笼子边上,海龟就慢慢的背向我游走,不过小海龟很可爱,喜欢跟着人,我一靠近笼子,他就过来了,可爱的大眼睛看着我,好像在要吃的,呵呵~很萌~~而且一看他就是还很小,游泳的时候还跌跌撞撞的,还没掌握好平衡,过一会儿看你不给他吃的,他就又游回到妈妈身边去了。
带老公看完海龟,我俩看时间差不多已经9:30了,于是上岸换衣服先去吃早饭。
一般自助早餐每天早上不太会变,除非有什么特殊的主题,比如最后一天的主题是日本料理,早上就开始有生鱼片子了。其实每天早上都有三文鱼刺身,不过跟日本料理那天的不一样。平时他们做的是三文鱼卷,里面是加了酱的,老公很爱吃,我觉得一般,最后一天是生鱼片占芥末的~~比较符合我的口味!我俩匆匆吃过早饭,满心期待的来到了岛上的SPA中心。
悦榕庄的SPA是全世界最有名的酒店之一,曾多次获奖。其实悦榕庄集团的哪个度假村哪年获得了什么国际奖项,这些都能从他的官网上查到。既然我们都到了这里,必然要去感受一下国际顶级的按摩!之所以约中午10:30这种不早不晚的时间,是因为他每天只有在这个时间是最便宜的。凡是蜜月的夫妇,每天中午11:00开始做SPA是有75折优惠的,不过这种优惠只限于120分钟的全身按摩项目,原价都是180刀/人,只是按摩手法和轻重程度上有所不同。75折之后是135刀/人,一共270刀。我们选择的是力度适中的巴厘按摩。所以10:30~11:00是蜜月套餐里送的我们30min的SPA课程,11:00~12:30是按摩时间,12:30~1:00是在他那里休息&吃东西喝饮料的时间。
首先就是SPA课程,这个课程就是交给你如何给自己的另一半按摩。按摩师会问谁先来,开始以为她给我俩都按一遍呢,我就让老公先来,结果后悔了…原来按摩师只给他按摩,让我学习,然后我学会了还要给他按摩一次,最后是他给我按…所以我觉得应该让女士先来~~不过这个还挺好的,因为我俩本身都不太会按摩,所以学会了,我们就可以以后回家相互按摩,也能感受到类似悦榕庄的按摩了!虽然手法上查的还很远,但是按摩结束还是很舒服的。
结束半小时的课程,就开始巴厘按摩了。在正式的按摩之前,按摩师会再次询问你想要的力度,重点按摩哪儿,哪个地方按摩的时候需要回避,等等。首先是洗脚。使用的是橘子水洗脚的,很清香很好闻。之后就裸着趴到床上按摩。我们用的精油是soothing,用于舒解肌肤的紧绷感,改善粗糙、干燥的现象,提高肌肤自身的防御能力,调整肌肤,使肌肤回到正常状态。我俩都很舒服,以至于都睡着了,直到按摩师叫我们仰面躺我们才又清醒。历时一个半小时的按摩感觉很快就结束了。起来休息的时候会有水果和凉茶供我们品尝。
SPA是我们在岛上额外消费最贵的项目了,不过我俩觉得值了!毕竟不来这里你是享受不了这么顶级的按摩的。不过很可惜的是,SPA的按摩庭院是不让拍照的,只有前台可以拍照。所以我们只能从官网上找一个图片以备纪念了。
从SPA出来,我们两个都香香的。已然不舍得再洗澡下水浮潜了,于是决定下午去对面伊瑚鲁岛观光。
**每天从早上8:30开始,在码头有免费的多尼船可以往返悦榕庄和依瑚鲁2个岛,大概4分钟路程,每两小时一班。一定要去那里观光和浮潜,能看到不同的景色。那边海沟离岸边不足30米,海底的景色也跟悦榕庄不大一样。早上8:30那班也有可能是快艇,1分钟就能到。
**看看时间距离下午2:30那班船还有一定时间,于是打算先回别墅休息休息。
到别墅的时候发现我们家来了小客人。小客人正在后院里找吃的。是一只鸟妈妈,之前有见过,它还有两只鸟宝宝。鸟妈妈看到我俩回来,匆忙的从地上叼了一块儿之前为它扔的面包就跑走了**
下午2:30,我们来到悦椿庄伊瑚鲁岛。虽然是同家公司,装饰之类的也是田园风格,但是还是有很大的不同。最大的特点就是他的沙滩烛光晚餐的地方,跟悦榕庄的落日亭一样,有人预定的时候小黑才会把帘子放下来。
伊瑚鲁岛比瓦宾法鲁还要小,快走转一圈就10分钟。拍照也就用了1个小时,我们还在沙滩上捡了一个寄居蟹,玩弄半天,又是拍照又是录像,不过最后还是把它放生了。总体来说,在装潢方面,瓦宾法鲁还是更胜一筹的,毕竟悦榕庄是超5星的,而悦椿庄还不到4星。
太阳还足,我们决定马上回别墅换泳装浮潜去看5:30的喂海龟表演。前台的小黑很好,得知我们要去看喂海龟,就主动告诉我们可以5:00先来栈桥看喂电鳐,然后跟着小黑一起浮潜过去,这样两个项目就都看到了。因为之前我们已经看过喂电鳐,所以还是决定先回别墅冲个澡抹上防晒霜休息片刻再去浮潜。
**这回小黑可没那么准时,后来他解释说因为喂电鳐的时候耽误了一点儿时间,所以过来晚了,对我们的等待表示很抱歉。在架子上看了一会儿喂海龟后,我们也听不太懂,于是就下水看海龟吃东西。这时候发现周围的其他鱼也很多,都是抢饲养员喂的吃的的。有很多都很漂亮。
看完表演,我俩继续去海沟浮潜。**
晚上7:00上岸,洗澡,吃过晚饭。喂过鲨鱼,回别墅休息。准备迎来新的一天。**
第四天
**早上8点吃早饭,依然很丰盛,依然又吃得那么撑。今天有我爱吃的生鱼片子
**今天是浮潜的一天!
我们安排上午10:30~12:00出海浮潜。这是前一天在前台预约的,35刀/人,一共70刀。**
10:30我们在码头等待多尼船接我们出海。一共应该2对夫妇,另一对不知道什么原因没有来,等了他们5分钟。最后就只有我俩参加了这个项目,真爽!相当于包船包小黑了。带我们出海浮潜的小黑正好是我的浮潜教练,人很好,下水之后我直接把相机交给了他,让他帮我们拍照。出海浮潜就是坐船把人拉到一个深海中的浅滩附近,围绕着这个浅滩的海沟浮潜。出海的好处是由于离岛远,珊瑚保存得更完好,幸运的话能碰到自由的海龟。
小黑很负责的帮我们拍了一堆合影,还潜下去帮我们近距离拍摄海龟和小鱼。我们很幸运,看到好多只海龟,其中有一只还是悦榕庄放生的,今年10岁
岛上有好多通道,都有白色浮漂标记着。我每次都是从岛上潜水中心正对的那个通道出去。然后从海龟保护基地那个边上的通道回来。游得慢点儿的话1个小时。
游完这一圈我们又累又饿,回到别墅洗过澡之后正好吃午餐。
每天午餐菜的品种都不一样,印象中除了烤肉以外没有重样的。不知道是我俩已经吃了好几天的西餐腻了还是天气太热没胃口,本身很饿的我俩对于今天的主菜都没什么兴趣。
游完这一圈我们又累又饿,回到别墅洗过澡之后正好吃午餐。
每天午餐菜的品种都不一样,印象中除了烤肉以外没有重样的。不知道是我俩已经吃了好几天的西餐腻了还是天气太热没胃口,本身很饿的我俩对于今天的主菜都没什么兴趣。
今天有冰激凌,这是我第一次看到,是不是每天都有我就不知道了。冰激凌我选的香草和薄荷两个球,底下放了炒菠萝,另一种味道,不过很好吃。
经过上午的浮潜我还没有缓过来,决定在别墅稍加休息保存体力,等下午4:30坐船去对面Ihuru岛浮潜。 对面伊瑚鲁岛的浮潜景色比悦榕庄更好,因为岸边距离海沟不到30米,去海沟的通道宽度比悦榕庄窄的多,离珊瑚的距离也更近,珊瑚的茂盛程度也比悦榕庄高很多。所以来瓦宾法鲁,有机会一定要去对面的伊瑚鲁岛浮潜!
我们是下午4:30~6:30在伊瑚鲁岛上,本来想浮潜绕岛一周,但是到一半的时候明显起浪了,换气时发现有一片云在不远处下雨,还慢慢向我们这边移动,而且我们身处的位置离岸边越来越远,相当于背着岛游。我开始有些害怕,怕下雨浪大,水下暗流多,最后决定往回游。后来证明我的决定是正确的。我们刚上岸没多久就开始下大雨了,而且风很大。我们每人借了一条浴巾,在码头等待多尼船接我们回家。
**到达悦榕庄,我们赶紧回别墅洗了个热水澡,幸亏没感冒。说来奇怪,在伊瑚鲁岛上看悦榕庄,周围都是黑成一片了,就我们岛头上没有那么多乌云,阳光照着显得最亮。而且在伊瑚鲁岛上雨下的那么大,回到瓦宾法鲁于就变得小很多,真是奇怪。
浮潜了几乎一整天,我已经累得筋疲力尽。赶紧吃完晚饭喂完鲨鱼回别墅睡觉!**
第五天
**这是我们在悦榕庄的最后一天,心情都比较沉重,真的不想离开这犹如仙境的地方!
昨天的信箱里多了一封信,通知我们今天中午12:00退房,下午4:00快艇接我们离岛去马累机场。后面还付了一张我们在岛上的消费清单。悦榕庄的消费都是最后一天退房后统一结账,平时只要说房间号就可以了,很方便。
最后一天绝对不能赖床,要尽可能的再多感受感受悦榕庄!6:00起床,按往常一样,看日出,感受岛上的宁静,拍合影。只不过今天的合影,略有伤感。**
吃过早饭,回别墅换泳衣的时候接到前台电话,被通知退房时间可以推后到下午2:00,3:30之前结账就可以。我们很高兴,决定绕岛浮潜一圈。每个别墅里都有一张全岛的浮潜地图,会很详细的标记出哪里危险哪里安全,海沟出入口在哪儿,什么地方会看到什么样的海洋生物。很幸运,我们几乎都看到了。
继续水下大片
浮潜一圈很费体力,我们用了两个半小时,中途没有休息,拍照时间也很短,几乎都是快游,才游了一整圈。不过我们觉得值,这回没有留下这项遗憾~~全岛的海底世界我们都一览无余了。心里很愉快。要是昨天能绕对面ihuru岛浮潜一圈那就更完美了!
上了岸,回到别墅,收拾行李,打包,我俩都非常不情愿…能不能不走…时间过得很快,又到吃午饭的时间。今天我们很不愿意午饭开始,因为吃过饭就意味着我们要退房,就要离开悦榕庄离开马尔代夫,这让我俩非常不舍。
早上餐厅门口就已经提示出今天中午是日本料理,所以自然会有生鱼片,寿司,还有味增汤天妇罗之类的极具日本特色的食物。
吃过午饭回别墅收拾行李,下午2:00整,我们把钥匙交到了前台。除了贵重物品是要随身背着以外,其他行李放在别墅里就可以,快离岛的时候小黑会把行李拉出来,统一运上船,这之间你还可以在岛上消费游玩儿拍照,完全不用一直拿着行李。在退房和离岛这段时间里,浮潜也是没有问题的,不用担心没有地方洗澡换衣服,在服务大厅的旁边有个公共卫生间,里面淋浴,毛巾,洗漱用品一应俱全,而且全天都有香薰,进去的时候会有淡淡的lemongrass的香味,很贴心。
由于我们已经把浮潜用具打包好了,所以只在岛上最后拍拍照片,去精品店购买小礼物(花费257刀),在落日亭里休息,等待离岛。
下午4:00来到前台,已经有两对夫妇在哪里等候。结账之后,给每人送上一份goodbye drink,上船离岛。张波还看玩笑的说,如果不喝这杯能不能不走??
到达马累机场,在免税店逛了逛,马累的免税店很小,没什么东西可买,我们只买了几条烟。当地时间(马累时间)下午5:30,飞机准时起飞,离开了马尔代夫。