Warning: file_get_contents(http://maldives.sealineholiday.com/test/?method=tongjiip): Failed to open stream: HTTP request failed! HTTP/1.1 404 Not Found in /opt/mesite/sealineholiday/public/mdv/views/header_u.php on line 447
2012我的麻袋之旅——天堂岛 -游记-马尔代夫-专业代理-海岸线假期-唯一官方网站
点击灰色的地方关闭
点击灰色的地方关闭
2012我的麻袋之旅——天堂岛

1 ) 正文

身边有很多朋友都去了马尔代夫,自己也心痒痒,和老公商量下来决定3月底蜜月之行锁定麻袋。 去任何地方游玩,国内、国外都好,做好详细的攻略那是必须的,在陌生的城市、国度起码自己心里也能有个底,借鉴他人的经验让自己的旅游更完美,或许还能有意想不到的收获。

选定麻袋后,首先要纠结选岛和选代理这2个最重要的问题。

先来说说选岛。有朋友去过康杜玛(4星)、卡尼岛(4星)、法宾瓦鲁(5星)等不同的岛屿,有人说很美,也有人说很一般。说到星级这个问题,每个代理网站的标准都不一样,所以我个人觉得星级这东西实在不好定义,并不见得五星级的岛就比四星的岛好。之前有朋友去过天堂岛说不错,价格也比较适中,于是就选定了天堂岛(五星)。

行程:香港——马累(直飞) 往返 天堂岛2天水屋、2天豪华水屋 包全餐 31400/2个人

后来由于香港飞马累的航班取消了,所以改了新航 香港——新加坡 新加坡——马累 最终行程费为33400/2人。可能有很多人会觉得贵,和我们去的有队北京的小夫妻2沙+2水,包早餐的12000一个人 ,但之前攻略看到天堂岛的沙滩屋实在不怎么样,因为我最终决定全住水屋,也因为水屋有2天已经没有空房间了,最终定了2水+2豪水。建议:如果大家选择麻袋游的话至少要提前2个月订房,确保自己想去的岛有房间,不然就有定不到房间的可能,我们就是订的有些晚了,之前想去的岛都没有房间了,本来是想选罗宾逊岛的,未完待续……

如果是蜜月行的话可以向酒店提出申请,酒店会事先安排有水果和香槟酒。

如果坐新航的飞机也可以申请蜜月蛋糕。新航送得蛋糕很美味,天堂岛送水果就很一般,不太新鲜。天堂岛的一大败笔就是食物真的做的很难吃。水果不新鲜(西瓜看上去红的,吃到嘴里没味道)米饭是半生的(里面放了小米),食物都是香料的味道吃不惯。有朋友去康度玛岛,说有羊排,在天堂岛就没吃到,更不用说海鲜了。

豪华水屋

普通水屋和豪华水屋的区别在于阳台外面的浴缸不一样,

豪华水屋外面的浴缸是按摩冲浪浴缸,恒温的,普通水屋

的浴缸是大理石做的,没有热水供应哦,晚上不能躺着看

星星。

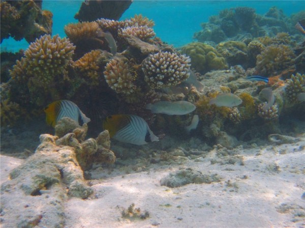
天堂岛风景真的不错,水不是一般的清澈湛蓝,空气中仿佛都弥漫着香料的味道,随处可见鱼和珊瑚,夜晚的岛屿更加的宁静,躺在水屋的浴缸里看星星是最好不过的选择在麻袋的日子,慵懒、日光浴、浮浅、赏鱼、泡澡是我们每天的必修课。

傍晚的码头真漂亮

天堂岛注意事项:

1、能住水屋的话最好还是住水屋,沙屋的设施和国内三星宾馆的设施差不多。

2、建议如果定天堂岛的话最好不要包餐,因为水屋和沙屋吃饭的餐厅不在一个地方,沙屋的品种比水屋多的多,但是味道基本差不多的,食物有比较重的香料味,如果不介意的话无所谓,如果对食物有要求的话建议不要包三餐。水屋有免费早餐,味道还可以。

这是水屋的餐厅
3、我们住的普通水屋不提供牙膏和牙刷(不知道是不是忘记了),豪华水屋有提供的,如果住普通水屋记得带哦。 4、夹脚拖鞋记得要合脚,我自己带了双新的鞋子,穿着磨脚好痛。

5、记得带浮浅的东西哦,咬在嘴里实在不卫生。出海浮浅如果晕船的朋友记得吃晕船药,因为船比较晃,容易吐。

6、天堂岛2012年起所有的自费项目都要加10%的服务费+7%税,价格比起网上的价格都有所浮动,浮浅35美金+税。
7、最好能租个水下照相机,这样就可以拍很多鱼的照片了,记得多拍点视频。普通的数码相机在麻袋不给力的,因为光照太足,建议带微单或单反相机。

8、去麻袋要穿颜色鲜艳的衣服,这样拍出来的效果更好,西瓜红、小鸡黄最佳。 本人文笔欠佳,谨此给去天堂岛的朋友做个参考。


去马尔代夫要多少钱?
去马尔代夫岛屿推荐?
去马尔代夫岛屿排名?
马尔代夫代理海岸线假期怎么样?
除了马尔代夫,还有什么热门的海岛
Power by 海岸线假期 & 海岸线国旅
粤ICP备13078966号 0755-89208289