Warning: file_get_contents(http://maldives.sealineholiday.com/test/?method=tongjiip): Failed to open stream: HTTP request failed! HTTP/1.1 404 Not Found in /opt/mesite/sealineholiday/public/mdv/views/header_u.php on line 447
无与伦比的美丽-马尔代夫8天7晚 IHURU+ROBINSON双岛游 -游记-马尔代夫-专业代理-海岸线假期-唯一官方网站
点击灰色的地方关闭
点击灰色的地方关闭
无与伦比的美丽-马尔代夫8天7晚 IHURU+ROBINSON双岛游

1 ) 正文

一、选岛+行程安排

选岛也经历了从各种纠结到豁然开朗的过程,拜读了无数帖子,各个岛的特点倒也能说上一二。
结合自己的时间和预算,同时考虑岛的特色,用了一个周末的时间便确定了行程。事后证明,选择十分明智。
1、航班预订
根据自己的假期,选出最合适的航班。
由于我们计划双岛8日游,直飞的航线时间段不吻合,所以直接PASS掉。上各大航空公司的官网查询,
结合价格和路线,选了阿航。一是可以体验下A380,二是留出充裕的转机时间可以迪拜机场看看。
(注:阿航还推出了购买往返机票免费赠送签证的活动,具体情况可以参考阿航官网。)
购票可以直接登录阿航官网,信用卡支付。订单支付成功之后,可以立刻选定座位。
网页上有航班座位分布图,果断选择每个隔断的第一排,空间比较大,还临近卫生间。
从北京到迪拜8小时的航程,一个相对舒适的座位非常重要。

以下是我们的航班行程单

二、代理询价

找到一个好的代理非常重要,不仅可以给出好的建议,而且还能给出好的价格,
服务速度和质量自然也不用说了。
当然在询价之前,自己心里必须有一些大概的意向,我们的计划是沙屋水屋都要体验,
快艇水飞都要体验,两个岛的风格也应该大不相同,同时,价格还应该在预算范围之内。
由于去的时候是旺季,所以价格在此不表了,和当下相比不具有优势性,
但是对比多家代理,在价格上还是有千余元的差价的。
最终根据我们的想法和代理的推荐,我们选择了IHURU和ROBINSON两个岛,具体行程如下:
3月17日当地时间下午到达后住机场岛LOONA HOTEL;
3月18日快艇登IHURU岛,3晚沙屋;
3月21日乘路飞转快艇等ROBINSON岛,2沙2水;
3月25日离岛原航程返回。

全程酒店由代理预订,并将酒店确认函及时发回,效率非常高,
而且当时在问过数个代理ROBINSON已经无房的情况下,我的代理还能给我订到房间,
可见代理和代理也是有差别的说。。。
还有,IHURU岛免费升为了半餐,这也给我们带来了不小的便利:)

IHURU岛

ROBINSON岛

**三、物品准备

物品的准备也参考了大家的经验,下面把我的经验也和大家分享一下
1、护照及复印件、电子客票行程单(打印两份)、酒店确认单(或邮件)
(打印两份)、结婚证复印件(如果是蜜月滴话O(∩_∩)O哈哈~);
2、防晒霜(高倍数),机场有艳阳夏、安耐晒等,水宝宝香蕉船之类的没有,JMS提前准备好;
晒后修复(这个务必要带,作用巨大);花露水带一小瓶即可,我去的两个岛基本没有蚊虫;
常用药品(我们带了虽然没有用上,但是还是建议大家带上,万一有个水土不服的有药吃还是好的);
3、浮潜装备:水母衣(这个很必要,最后两天没穿水母衣浮潜后果很严重555);
淘宝租了两件救生衣,每件50元/10天(ROBINSON岛的救生衣不是免费租借的,
每天每件7美金,这样倒不如自己带过去划算了);
潜水镜和全干式吸管(也是淘宝购入,很好用,但是务必在收货后确认潜水镜不漏水,
我们第一次收到的潜水镜有一个漏水,卖家果断换了个新的);
泳帽(女生长发飘飘,戴个泳帽比较清爽,也不会因为头发影响看水下的奇妙世界哦);
另外,潜水袜可以不买,自己随便穿个袜子就可以啦:)脚蹼是免费租用的,也不用自己带;
4、摄影装备:D700+大三元+脚架
D90+套头
摄像机一部
淘宝租了一个佳能D10水下相机,150元/10天,拍水下的景色全靠它了,
不过大家拍摄的时候一定要调至潜水模式,这样拍出的照片最接近眼睛看到的样子,也最美丽:)
5、美刀还是要带些的,换些零钱给小费,尊重小黑的劳动,O(∩_∩)O~
其他岛上消费或是机场消费,信用卡就可以结算,很方便:)
6、零食:由于我们第一个IHURU岛是半餐,也就是包早晚餐,所以我们带了一些零食,
结果去了发现是大大的失误。。。基本是怎么带过去怎么带回来。早晨9点左右吃早饭,
然后一天浮潜玩耍,基本上没时间也没什么胃口吃东西,晚上吃晚餐就足够。。
当然这项因人而异,O(∩_∩)O哈哈~
7、各种美丽的衣裙、比基尼、配饰啦,JMS尽情绽放吧!
8、保险:买一份保险是非常必要的,尽管我们都不希望有索赔发生,但是在发生情况的时候,
有份保险确实能带给我们必要的保障。每次旅行都有买保险的习惯,之前也有成功索赔过,
主要是航班延误,这次买了美亚的万国游踪,我们的航班再次悲催滴延误了,
返程后再次成功进行了索赔,也算是稍许安慰吧,稍后再表。。。
9、手电带上,晚上沙滩上有惊喜。**

还有其他一些东西,大家根据自己的需要带吧。这两个岛都不需要带水的,足够喝了:)
**从一月份确定了行程,到3月16日出发,期间经历了马代军队哗变的事件,一度纠结会不会因此取消行程。。。
静观事态发展,经过冷静客观滴思考,还是决定按计划出发。因为马代机场岛和马代本岛是相邻的两个岛,
游客基本都是从机场岛之间转快艇、水飞或者路飞上岛的,不会互相有太大的影响。
并且哗变期间正在岛上的游客们住得也都很正常**

所以,3月16日,我们就拖着行李出发啦!
**T3买了安耐晒的小金瓶还有资生堂艳阳夏,都是防水的,
还有倩碧的晒后修复,含有芦荟成分,有镇定止痒的功效,还不错:)**
**还收了一个新秀丽的旅行靠枕,若是长途飞行的话,买一个还是很必要的,睡觉的时候架在脖子上,
颈椎会有支撑,不会觉得难受:)**
接着,我们顺利滴通过安检,登机,准备起飞。。。
**就在这个时候,眼睁睁地看着旁边一架飞机起飞,然后大雾瞬间弥漫,我们等啊等,
打了个盹醒来发现还在原地停着,一看时间已然是17日凌晨1点多了。。。
接下来的安排倒也不是第一次经历,航班取消,重新出关,领取行李,机场给安排附件的酒店住宿,
躺到床上已经是凌晨5点了,又累又乏,领了水就沉沉睡去了。。。**
**睡了几个小时,起来用早餐,回屋继续休息,雾依然没有散去,用完午餐后,
又拖着行李上了巴士把我们拉回T3,重新办理手续,等待。。。等到登机起飞的时候,
已经是17日下午6点多了,如果一切正常的话,这个时候已经应该快到马累了。。。**
**大家情绪也都不是很好,也都很疲惫,唯一能够有些安慰的就是买了保险,
可以获得每5小时300元人民币的赔偿,这次延误已经快20小时了,事后赔偿了每人900。。。
然后原计划17日住马累机场LOONA HOTEL也赶不上了,这一晚就在飞机上度过了。。。**

**话说A380第一次坐,感觉还不错。不过经济舱嘛,位置间距也不会大许多,好在提前选好了位置,
坐在隔断的第一排,腿可以伸直,还算舒适。看看电影听听音乐,迷迷瞪瞪地时间倒也过得很快。
到了迪拜机场,真心让人失望啊。。。个人感觉都没有泰国还有新加坡机场好。。。对比下免税品价格,
香水迪拜机场比北京机场便宜些,护肤品还是T3给力;酒的话迪拜机场便宜一点点,
但个人感觉不值得为了那点儿差价大老远的背酒回去。。。太阳镜不少,可以选一下;有几个品牌的手表,
价格肯定是比国内便宜,但是还是没有欧洲优势大。。。我们简单逛了一圈儿,就直接去领取免费餐劵了
(在迪拜机场转机超过4小时,就可以免费在机场几个指定的餐厅就餐)。走了好远好远才找到,
然后直接麦当劳解决了早餐问题,用这个餐劵还可以去其他两家餐厅,但根据之前研究的攻略,
大家都觉得还是麦当劳最好,我们也就不费周折了,8个小时的航程,再加上之前的折腾,我们已经很累了。。。

**转机从迪拜飞往马累,这段航程4个小时,感觉轻松多了。一路上基本都在睡觉,飞机餐浓重的咖喱味让人没有食欲。。。
航班上还有不少一样遭遇的中国同胞们,大家彼此看看都友好又无奈滴相视一笑:)**
好在这一切,在抵达目的地看到那一片湛蓝的海水时,所有的疲惫都烟消云散了。。。
马代,偶们来啦!!!

马代机场岛码头

**到了马代,基本不用担心沟通问题。这个国家的旅游业是重要产业,各项服务相当成熟。
走出机场,就有举着各个岛屿名字或者客人姓名牌子的小黑迎接你,
英语不好的朋友们也不需要太担心,你的行程早已经由他们安排妥当。如果没有找到来接你的人,
也不要着急。每个酒店都有自己的接待台,
你只需要找到自己的酒店接待台,报上名字,一切就都OK了。**

**IHURU
小黑安排我们和另外一对欧洲夫妇一起乘快艇登岛,航程25分钟。
IHURU岛离马累本岛比较近,在岛上是可以看到马累本岛的。**
**上岛后,有WELCOME DRINK,又清凉的毛巾,还有一对一的接待。接待我们的是一个日本姑娘,
和我们确认了一下信息,介绍了下岛上的设施就带我们到房间了。我们住的是普沙,房号是20。
经过后来几天的观察,发现IHURU岛普沙最好的房间段是从8号到15号这几间,离浮潜出口近,
离餐厅主码头近,门口的防浪堤也少。豪沙的位置没有注意,
如果没有订到8-15号的房间也没有关系,
因为IHURU岛走一圈儿的话也就不到20分钟,其实景色都是很美滴**

先来看看房间的内外布局

**床上放着岛上活动的时刻表和介绍,还有餐厅、SPA中心、潜水学校以及小商店的开放时间。
还有每天小黑会送一个小礼物,小海星或者钥匙挂件什么的,很可爱。也要记得每天要给打扫房间的小黑小费哦:)**

**房间不大,但是感觉舒适温馨。放着轻柔的音乐,空调也已经开了小风,小吧台有很多饮品,
旁边有价目单,还有两大瓶纯净水。IHURU岛每天会提供两瓶纯净水,
如果不够的话,给前台打电话,立刻就会有小黑来送水:)

**

**接下来就是无敌海景了

IHURU岛的色彩搭配很经典,明黄色很衬海水层层叠叠的蓝色**

**IHURU另外一个优势,就是可以去临近的姐妹岛-悦榕庄玩儿。每天有N班多尼船往返于两岛之间,
那边可以看喂魔鬼鱼,喂海龟,还是很有趣的:)左上角那个岛就是悦榕庄。**

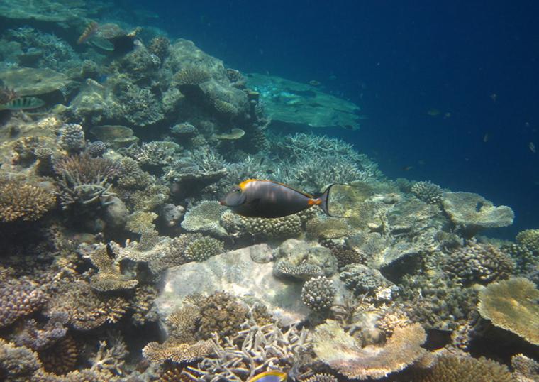
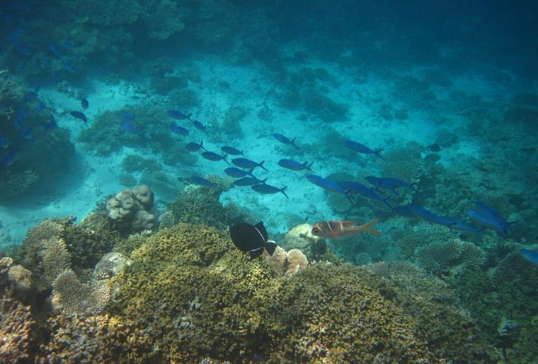
**IHURU岛以浮潜好而闻名。这次亲身体验到了,海底世界确实让人震撼。与悦榕庄和R岛相比,IHURU岛的浮潜完胜。
这里珊瑚礁距离岸边近,并且面积大,坡度缓,海水平静,通透,就算水性不好的人,也能很快适应这边的浮潜环境**

下面带大家看看海底世界吧。

**水下相机虽然不是专业的,但是还是能记录下来一部分美丽的海底世界。
并且一定要调到潜水模式,这样拍出来的照片最接近眼睛所见的情景。**

珊瑚礁是鱼儿的家。

**IHURU的餐厅
早餐一般在这个餐厅用**

晚餐每逢周一、三、五、日是套餐,周二、四、六是自助。

晚餐大家都喜欢靠海的最外边的桌子,晚一点儿就没有空位置了

**IHURU的片子暂时就到这里啦。
总结下:IHURU是个美丽景致的小岛,在这里感觉很悠闲,浮潜好,人也少,服务人员很友善,
到处都能感觉到贴心的服务。浮潜超棒,虽然没有水屋,但是丝毫没有因此给它减分。**
和R岛相比,其实我更喜欢IHURU,这是一个可以安安静静融入自然的小岛。
当然还有一个优势,就是接下来我要带大家去看的悦榕庄:)

**前面已经说过了,悦榕庄和IHURU是姐妹岛,同属一个集团。每天有几班船往返于两岛之间,
两岛直接可以互相探访游玩,SPA、购物、用餐等消费也可以方便地结算。**
我们出发去看看吧:)
不远处那个就是大名鼎鼎的悦榕庄

悦榕庄的水也很美,但是珊瑚礁离岸的距离与IHURU相比要远很多

沙滩很棒。到这边浮潜,还能看喂海龟
**海龟在离岛150米处的一处平台,需要自己游过去才能看到。
很多鱼也习惯了在这里蹭点儿好吃的,呵呵

**

要走了,再看一眼IHURU的清晨。

乘快艇离开IHURU,奔赴下一个目标:ROBINSON**


去马尔代夫要多少钱?
去马尔代夫岛屿推荐?
去马尔代夫岛屿排名?
马尔代夫代理海岸线假期怎么样?
除了马尔代夫,还有什么热门的海岛
Power by 海岸线假期 & 海岸线国旅
粤ICP备13078966号 0755-89208289