Warning: file_get_contents(http://maldives.sealineholiday.com/test/?method=tongjiip): Failed to open stream: HTTP request failed! HTTP/1.1 404 Not Found in /opt/mesite/sealineholiday/public/mdv/views/header_u.php on line 447
【都喜天阙Dusit】浮潜篇 -游记-马尔代夫-专业代理-海岸线假期-唯一官方网站
点击灰色的地方关闭
点击灰色的地方关闭
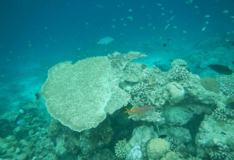
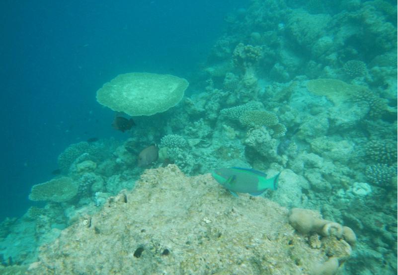
【都喜天阙Dusit】浮潜篇

1 ) 正文


去马尔代夫要多少钱?
去马尔代夫岛屿推荐?
去马尔代夫岛屿排名?
马尔代夫代理海岸线假期怎么样?
除了马尔代夫,还有什么热门的海岛
Power by 海岸线假期 & 海岸线国旅
粤ICP备13078966号 0755-89208289